头癣
头癣是头皮和头发的浅部真菌感染,根据病原菌和临床表现的不同可分为黄癣、白癣和黑点癣三种。好发于儿童,传染性较强,易在托儿所、幼稚园、小学校及家庭中互相传染。主要通过被污染的理发工具传染,也可通过接触患癣的猫、狗等家畜而感染。
医学百科网 | YxBaike.Com
(一)发病原因
医学百科网 | YxBaike.Com
头癣是真菌感染头皮和头发所引起的疾病。患了头癣,头皮上会出现很多灰白鳞屑或大片的黄痂,还可引起头发折断或脱落。严重者头发参差不齐甚至所剩无几,即人们所说的“癞痢头”。 医学百科网 | YxBaike.Com
头癣的发生主要是通过接触头癣患者或有病的动物而被传染的,从自然界中感染来的极罕见。正常人与患头癣者经常密切接触,特别是儿童在一起玩耍,头碰头的接触,很容易被传染。还有与有病的动物接触后患病,这都属于直接传染。如果使用头癣患者用过的帽子、头巾、枕头、梳子或理发推子、剪刀等也可被传染,这叫做间接传染。可见头癣是很容易传染的。过去头癣在我国流行很广,医院里常可看到头癣患者。 医学百科网 | YxBaike.Com
但是,真菌感染后不一定都引起头癣,这与机体对真菌的抵抗力密切相关。大多数成人对真菌抵抗力较强,而儿童较弱,所以头癣多见于儿童。 医学百科网 | YxBaike.Com
(二)发病机制
医学百科网 | YxBaike.Com
宿主皮肤合适的环境对于皮肤癣菌病的发展是非常重要的。除外伤外,浸渍皮肤的水分增多也适于皮肤癣菌生长。不透气的衣物可增加皮肤局部的温度和湿度,干扰角质层的屏障功能。皮肤癣菌侵入皮肤后,还要经过几个发展阶段,包括孵育期、在抗感染过程中增大和退化期。
医学百科网 | YxBaike.Com
黄癣多自儿童期发病,可延续到成人而不自愈,这是因为不饱和脂肪酸对许兰毛癣菌的生长和繁殖无抑制作用。白癣,主要发于学龄前儿童。由于青春期皮脂分泌增多,皮脂中的不饱和脂肪酸抑制了白癣病原菌,因此至青春期可自愈。黑点癣儿童和成人皆可发病。
1.黄癣 中医称为秃疮、“癞头疮”、“肥黏疮”等,俗称“癞痢头”。许兰毛癣菌侵入头皮角质层后大量生长繁殖,很快在毛根处形成针头或绿豆大小丘疱疹,继而变为脓疱,脓疱干燥后形成硫磺色干痂。皮损扩大,痂皮融合变厚,边缘翘起,中央黏着于头皮而略凹陷,中心则有毛干通过,外观似碟状,称为碟形黄癣痂。黄癣痂是由许兰毛癣菌及脱落的上皮细胞组成,易碎,传染性强。用力揭去痂皮,其下为鲜红色湿润糜烂面或浅溃疡,极易继发细菌感染,发出鼠尿样臭味,同时伴有附近淋巴结肿大。毛发由于病原菌侵入,变得干枯无光泽或出现弯曲,易拔除,但无断发,最后毛囊破坏,遗留萎缩性瘢痕和永久性秃发。碟形黄癣痂、萎缩性瘢痕、永久性秃发是黄癣三大临床特征(图1)。黄癣若未及时治疗,皮损持续发展可累及整个头皮,形成广泛性秃发性瘢痕,但在发际处可遗留1~2cm正常毛发带,瘢痕中可散在少数正常毛发。瘙痒剧烈,可因搔抓而自身播散。毛癣菌偶可侵犯躯干及四肢光滑皮肤(图2)和甲板。可有黄癣痂和皮肤萎缩,甲损害则很难与其他甲癣区分。
医学百科网 | YxBaike.Com
医学百科网 | YxBaike.Com

医学百科网 | YxBaike.Com
医学百科网 | YxBaike.Com

医学百科网 | YxBaike.Com
2.白癣 中医称为白秃、蛀发癣。如《外科证治全书》记载“蛀发癣是头上渐生秃斑,久则远开,干枯发痒,由阴虚热盛,剃头时风邪袭入孔腠,博聚不散,血气不潮而成。”最初表现为毛囊性丘疹,上覆白色鳞屑。皮损逐渐扩大,形成白色鳞屑斑片,呈圆形或椭圆形,界限清楚,无明显炎症(图3),微痒或无任何自觉症状。若不治疗,斑片状损害周围可出现小的卫星灶。由于真菌孢子寄生,病损区毛发根部围绕有一特征性鳞屑状鞘状物,不易去除,称为菌鞘。病发干枯,无光泽,长出头皮约4~5mm即折断,极易拔除。灰白色鳞屑斑、菌鞘和断发是白癣三大临床特征(图4,5)。部分患者可并发脓癣、体股癣、甲癣和肉芽肿。 医学百科网 | YxBaike.Com
医学百科网 | YxBaike.Com

医学百科网 | YxBaike.Com
医学百科网 | YxBaike.Com

医学百科网 | YxBaike.Com
医学百科网 | YxBaike.Com

医学百科网 | YxBaike.Com
3.黑点癣 初发损害为较小白色鳞屑斑,散在分布,炎症轻微或无炎症,有时似白癣。由于孢子寄生于发内使毛发变脆,病损处毛发出头皮即折断,断发残根留在毛囊口内呈黑点状,故名黑点癣(图6)。本病病程较长,病变进展缓慢,至成年也不能自愈。日久,由于毛囊破坏,愈后留有点片状瘢痕和秃发。少数患者断发不明显,而以脱屑斑为主,易与脂溢性皮炎相混淆。此外,病原菌也可侵犯光滑皮肤和甲板。

医学百科网 | YxBaike.Com
4.脓癣 为人体皮肤对亲动物性或亲土性真菌感染发生的强烈炎症反应。脓癣亦多发生于儿童,尤其是学龄前儿童。最初表现为化脓性毛囊炎,群集性小脓疱融合形成隆起炎性结节或肿块,界限清楚,触之较软,表面有与毛囊口一致的小脓点,似蜂窝状,挤压时有多孔溢脓现象(图7)。毛发松动而易拔除,自觉疼痛或无症状。若继发细菌感染,则有明显疼痛及压痛。附近淋巴结常肿大。损害常单发,亦有少数多发。愈后常伴瘢痕及秃发。
医学百科网 | YxBaike.Com

医学百科网 | YxBaike.Com
患者多有明显的接触传染史,结合临床表现和真菌学检查不难诊断。
1.真菌学检查 取病发、痂皮、鳞屑做真菌检查。 医学百科网 | YxBaike.Com
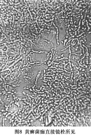
(1)直接镜检:黄癣的黄癣痂内可见鹿角状菌丝及孢子,病发内可见关节孢子和菌丝(图8),长轴与发干平行,并可见菌丝退化后残留的气泡;白癣的鳞屑内可见分支分隔菌丝,病发外见成堆或呈镶嵌状小孢子(图9);黑点癣的病发内可见成串的链状大孢子与发轴平行排列,皮屑有时查到菌丝。
医学百科网 | YxBaike.Com
医学百科网 | YxBaike.Com

医学百科网 | YxBaike.Com
医学百科网 | YxBaike.Com

医学百科网 | YxBaike.Com
(2)真菌培养:主要用于鉴定菌种。 医学百科网 | YxBaike.Com
2.Wood灯(滤过紫外线灯)检查 黄癣病发有暗绿色荧光,白癣病发有亮绿色荧光,黑点癣病发无荧光。
医学百科网 | YxBaike.Com
(一)真菌直接镜检:黄癣病发内可见发内菌丝或关节孢子,黄癣中可见鹿角菌丝及孢子;白癣病发外包绕着密集镶嵌排列的圆形孢子;黑点癣为发内成串排列的链状孢子,孢子较大。
(二)真菌培养:可帮助确定致病菌种。 医学百科网 | YxBaike.Com
(三)伍德氏灯检查:黄癣呈暗绿色荧光;白癣为亮绿色荧光;黑点癣无荧光。 医学百科网 | YxBaike.Com
根据临床表现、皮损形态及部位及显微镜检查,即可明确诊断。但应与神经性皮炎、慢性湿疹相鉴别: 医学百科网 | YxBaike.Com
㈠神经性皮炎:有明显苔藓化,无水疱,霉菌显微镜阴性。 医学百科网 | YxBaike.Com
㈡慢性湿疹:无堤状隆起的边缘,境界不清楚,霉菌检查阴性。
1.银屑病 头皮银屑病损害为界清炎症明显的红斑,被覆银白色厚屑,毛发呈束状,但无断发,无菌鞘,真菌检查阴性。 医学百科网 | YxBaike.Com
2.脂溢性皮炎 头皮有弥漫性鳞屑斑,边界不清,或覆有油腻性痂皮,伴脱发,但无断发及菌鞘。真菌检查阴性。
医学百科网 | YxBaike.Com
此外,尚需与头部湿疹、头皮糠疹等进行鉴别,必要时行真菌学检查。脓癣还应与化脓性皮肤脓肿如头部穿凿性毛囊炎及毛囊周围炎鉴别,后者无蜂窝状毛囊孔,疼痛明显,常伴发热,必要时真菌镜检即可鉴别。 医学百科网 | YxBaike.Com
黄癣可因搔抓而自身播散。白癣部分患者可并发脓癣、体股癣、甲癣和肉芽肿。
医学百科网 | YxBaike.Com
和其他传染病一样,头癣的防治措施也应该包括三方面,即消灭传染源、切断传播途径和保护易感者。头癣的发生和传播与人们的生活水准、卫生居住条件以及医学知识的普及程度密切相关。实践证明,进一步普及卫生知识的教育、加强家庭宠物的管理对于头癣的防治有重要意义。应积极治疗患者、处理病畜以消灭传染源,消毒处理理发工具,勿接触病畜以切断传染途径。 医学百科网 | YxBaike.Com
1)消灭传染源 即治愈所有头癣患者及有病的家畜,这是最重要的。头癣不仅侵犯头皮,还侵入了毛囊根部,所以治疗起来较其他癣病要复杂。
医学百科网 | YxBaike.Com
①拔发治疗 若头癣范围很小,可采用手工拔发治疗,即用平头镊子在病损区沿头发生长的方向逆根拔出。还应拔除病损区周围3mm内所有正常头发,以免病损扩散。然后将局部清洗干净,涂以2%碘酒,每天1次。如此每周拔发1次,连续3~4次,并经常洗头,每周涂5%硫磺软膏一次。若病损面积较大,可先用X线照射使头发松动而易于拔除。但此法必须具备一定的技术设备,且不适于所有患者,目前已很少使用。
②灰黄霉素综合治疗 即内服灰黄霉素,配合外用2%碘酒或5%硫磺软膏,每天洗头,每1~2 医学百科网 | YxBaike.Com
周剪发一次。此法适于各型头癣,但应注意药物禁忌症及副作用,服药期间注意复查肝功能。灰黄霉素服法按每日每公斤体重10~20mg,连服15~20天,视病情轻重调整剂量大小。对于病损较小的黄癣及白癣,还应尽量结合手工拔发治疗,这样可减少口服药的用量从而避免可能引起的副作用。
医学百科网 | YxBaike.Com
2)切断传播途径 如果发现一个头癣患者,应采取适当的隔离措施。例如患头癣的儿童暂时不应到幼儿园或小学校去,待完全治好后再恢复集体生活。在家中也应避免传染给家里人或其他儿童。同时对患者用过的帽子、头巾、枕巾、衣被等应采用日晒、开水煮烫等办法消毒。污染过的理发工具也要彻底消毒,可以煮沸消毒,也可置于密闭容器内用甲醛气体熏。带菌的毛发、鳞屑及痂皮等应用火烧毁。 医学百科网 | YxBaike.Com
3)保护易感者 对于头癣来说,每一个儿童都是易感者,所以头癣常在幼儿园或小学校里传播。预防头癣不是靠吃药,而是要加强宣传教育,使儿童养成良好的卫生习惯,并经常检查儿童的头部,如果发现可疑情况,应及时到医院诊治。
和其他传染病一样,头癣的防治措施也应该包括三方面,即消灭传染源、切断传播途径和保护易感者。 医学百科网 | YxBaike.Com
治疗 医学百科网 | YxBaike.Com
1.内治法:治宜养血和营祛风,方用癣复康。若属风寒者,加制川乌、麻典各9g;若属风热者,加生地15g,菊花12g,苦参15g;若属冲任不调者,加鹿角片9g、菟丝子12g、巴戟天6g。若为阴虚内热者,用生地饮加减。若属湿热实症者,用龙胆泻肝汤加黄柏、苍术、薏苡仁治之。
2.外治法:可根据病情酌情选用下列诸方:①癣药水,用毛笔蘸涂擦患处,每日2~3次。②灭癣灵,醋调膏,涂患处。③癣可净,水煎坐浴。④汗斑方,调搽。⑤槿酒擦剂,外擦,每日1~次。⑥雄黄解毒散,醋调搽。
㈡西医治疗治疗原则:内服抗真菌药物(首选灰黄毒素); 外用抗真菌制剂; 每日洗头2次,共8周; 每周剃头1次,共8同; 消毒患者的生活用具或接触物品。 医学百科网 | YxBaike.Com
1.内治法:制毒菌素片100万u,每日3次,口服。并内服复合维生素B,也可口服克霉唑,曲古霉素。
医学百科网 | YxBaike.Com
2.外治法:常用的药物有10%~20%冰醋酸溶液、复方雷锁辛擦剂、20%~40%硫酸钠、5%水杨酸酒精、1%克霉唑霜、汗斑药不、复方苯甲酸软膏、杀烈癣软膏、2%双氯苯咪唑 霜、10%十一烯酸药水、10%噻苯达唑霜、5%月桂酸酒精等。 医学百科网 | YxBaike.Com
3.紫外线照射,每日1次,每次20~30分钟。 医学百科网 | YxBaike.Com
疗效评价 医学百科网 | YxBaike.Com
治愈:皮损消退,真菌直接镜检及培养,每周1次, 连续3次阴性,滤过紫外线灯检查阴性; 医学百科网 | YxBaike.Com
好转:皮损部分消退,真菌检查阴性或阳性,滤过紫外线灯检查阴性或阳性; 医学百科网 | YxBaike.Com
未愈:皮损无改善,真菌检查阳性滤过紫外线灯检查阳性。 医学百科网 | YxBaike.Com
(一)治疗 医学百科网 | YxBaike.Com
头癣一般采用综合性治疗。
医学百科网 | YxBaike.Com
1.系统治疗 灰黄霉素目前仍为首选,对小孢子菌最为敏感。成人0.6~0.8g/d,儿童15~20mg/(kg·d),分3次饭后服用,疗程3~4周。服药期间,多食油脂性食物,以促进药物吸收。同时要注意肝功能检查。应用灰黄霉素如同时服用中药茵陈,可提高其疗效,减少灰黄霉素的用量。并避免应用抑制胃酸分泌药物。酮康唑对断发毛癣菌最敏感,儿童用量为5mg/(kg·d),1次顿服,最好进餐时服,疗程4~8周。伊曲康唑用餐时服用,成人0.2g/d,儿童0.1g/d,每周1次,服用4~6周。特比萘芬0.25g/d,儿童0.125g/d,服用4~8周,服药期间亦应注意肝功能检查。脓癣急性期亦可短期加用小剂量皮质类固醇激素。
医学百科网 | YxBaike.Com
2.局部治疗 单用局部治疗疗效差,应同时进行系统治疗或与拔发疗法同时应用。外用药常用者有5%~10%硫磺软膏,2.5%碘酊,3%克霉唑霜等,连续应用1个月,不可间断。涂药前先用肥皂水洗头,脓癣如脓液较多,炎症明显时,可用温和杀菌剂,如0.1%依沙吖啶(利凡诺)、1∶4000高锰酸钾液或0.1%呋喃西林敷,或外用抗生素软膏如环丙沙星软膏等。在医疗条件较差的地区,对于面积较小(五分硬币范围以内)、数量不超过3块的损害可采用拔发疗法,即有用平头镊子将病损区及其周围3mm范围内的正常头发连根拔出。拔发后外涂前述外用药,每天1次。如此每周拔1次,连续3~4次。 医学百科网 | YxBaike.Com
治疗期间应注意每天用温肥皂水洗头,以洗去带菌鳞屑和痂皮,避免皮损播散。黄癣菌痂如过厚时,可先用5%水杨酸软膏或油剂除去,然后再涂药。用药前将头发剃去,每7~10天理发1次,以去除被感染的毛发。同时,对患者接触过的物品,如帽子、枕巾、理发工具,要消毒处理,病发应焚毁。 医学百科网 | YxBaike.Com
3.中医治疗 可采用雄黄糊溶发法,将雄黄(研成细末)、生石灰块按1∶4比例放入容器内,然后加冷水使成稀糊状,搅拌均匀。放置24h后备用。用前将头发剪短,均匀涂于头皮部,20min后,水洗,头发即可脱落,每周应用1次。本药为溶发作用,并不破坏毛根,故毛发可再生。但为彻底治愈头癣,此法只可作为辅助疗法。对炎症明显、脓液较多的脓癣亦可用5%黄柏、10%生地榆或5%生理盐水洗或湿敷。
附件列表
词条内容仅供参考,如果您需要解决具体问题,请遵医嘱或咨询医师。
本站词条内容如果涉嫌侵权,请与客服联系,我们将及时进行处理。如需转载,请注明来源于www.yxbaike.com
